11月13日消息,据北京市规自委,北京市朝阳区中关村科技园区电子城西区工业园区前期开发项目1002-631(D1)、1002-632(D3)地块F3其它类多功能用地地块底价成交,地块成交金额21.68亿元,核经营楼面价12206元/㎡。

竞得企业为北京望京科技发展集团有限公司。
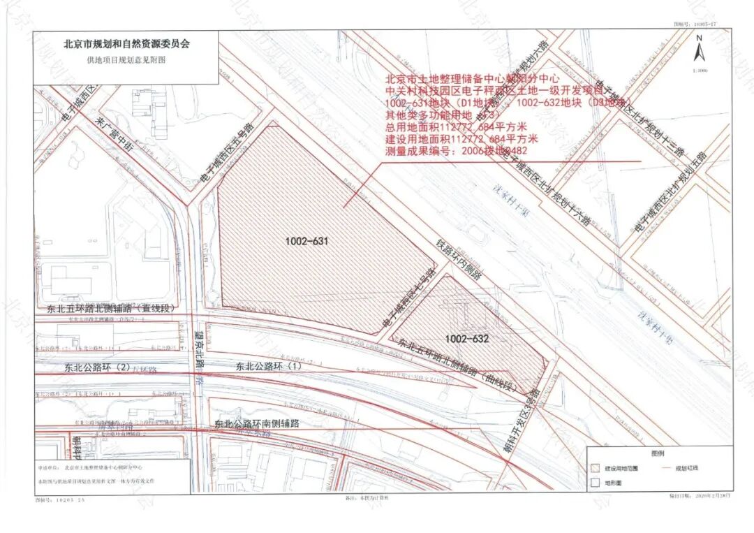
根据此前出让文件,地块位于朝阳区电子城西区,四至范围:东至规划朝科开发区3号路,南至东北五环路北侧辅路,西至规划望京北路、规划电子城西区五号路,北至规划铁路环内侧路。

土地面积112772.68平方米,规划建筑面积180436.00平方米,容积率1.60,规划建筑高度度,45米/30米,土地类型为商业,出让年限为50年、40年。
根据出让文件,1002-631(D1)地块含地上建筑规模2000平方米邮政局,由竞得人建设后以成本价移交邮政主管部门。 该项目出让部分地上、地下建筑规模50%自持,自持年限为最高出让年限。

企查查信息显示,北京望京科技发展集团有限公司成立于2021-12-31,注册资本为130000万元,企业注册地址位于北京市朝阳区利泽中二路2号A座6层606,所属行业为科技推广和应用服务业。实际控制方为朝阳区国有资本运营管理有限公司。
依据区政府同意的《关于在电子城西区 D1、D3 挂牌条件中设置产业条件的请示》(中朝管文〔2025〕105号),“电子城西区D1、D3地块的产业定位为:该项目应建设成为中关村(朝阳)数字医疗产业园的产业拓展区,形成与先导区协同发展格局,提升数字医疗产业规模,完善园区产业生态。电子城西区D1、D3地块的建设内容为:优先承载数字医疗领域的重大项目及优质企业落地,构建具有核心竞争力的产业集群”。